52 Windsong Way Donnelly, ID 83615
Directions
Hwy. 55 West on W4 Lane, Left on Old State Road, Right on Day Star, Left on Windsong Way
Price: $229,000
Beds:
Baths: 0
Garages:
Type: Unimproved Land
Area: Donnelly-Tamarack - 1805
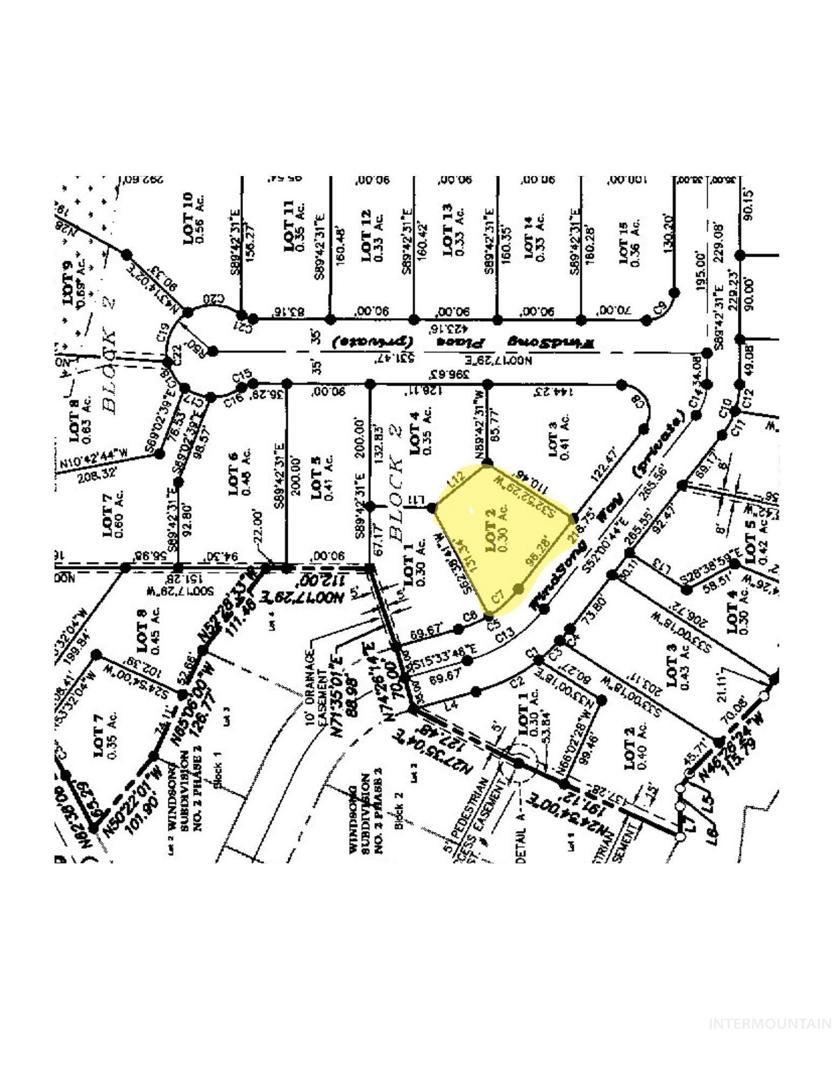
Land Size: 10000 SF - .49 Acres, Level, Wooded
SqFt:
Acres: 0.3
Subdivision: Windsong
Lot Size: 131x138 x 131x138
Includes
Water: City Service
Schools
School District: McCall-Donnelly Joint District #421
Sr High School: McCall Donnelly
Jr High School: Payette Lakes
Grade School: Donnelly
Contact for more details:
A-Team Consultants
1099 S Wells St #200, Meridian, ID 83642
Phone: 208.761.1735 Email: info@ateamboise.com
1099 S Wells St #200, Meridian, ID 83642
Phone: 208.761.1735 Email: info@ateamboise.com
Description
Discover the perfect mountain getaway at 52 Windsong in beautiful Donnelly, Idaho. This spacious lot is ideally located close to Lake Cascade, offering endless opportunities for boating, fishing, kayaking, and year-round recreation. Surrounded by mature trees and wide open skies, this peaceful setting gives you the best of mountain living while still being close to Tamarack Resort, scenic trails, hot springs, and charming local amenities. Build your dream retreat in one of Idaho’s most sought-after outdoor destinations.
Legal Description:
Windsong Subd. No. 2, Phase 3 Lot 2 Block 2
Windsong Subd. No. 2, Phase 3 Lot 2 Block 2
| Listing info for this property courtesy of Coldwell Banker Tomlinson Information deemed reliable but not guaranteed. Buyer to verify all information. All properties are subject to prior sale, change or withdrawal. Neither listing broker(s), shall be responsible for any typographical errors, misinformation, misprints and shall be held totally harmless. |




















